Praktycznie wszyscy mieszkańcy Sudureyri żyją w bezpośredni lub pośredni sposób z rybołówstwa. Dzielni Islandczycy zdecydowali się na życie na takim odludziu, gdyż natura obdarzyła ten rejon świata wyjątkowym, choć niewidocznym gołym okiem bogactwem: w wodach oblewających zachodnie fiordy Cieśniny Duńskiej, oddzielającej Islandię od Grenlandii, żyją wielkie ławice ryb - przede wszystkim dorszy, plamiaków, zębaczy, czarniaków, żabnic i olbrzymich halibutów.
Przez długi czas ryby te poławiano wyłącznie przy pomocy sieci, po czym przerabiano w miejscowej przetwórni na smakowite filety oraz tran. Produkty te były potem sprzedawane do innych rejonów Islandii, a nawet eksportowane do wielu krajów świata. I choć rybołówstwo jest nadal podstawą bytu tutejszej społeczności, to kilka lat temu jeden z przedsiębiorczych rybaków postanowił jeszcze lepiej wykorzystać naturalne zasoby oceanu i wpadł na pomysł, aby zorganizować tu bazę wędkarską na najwyższym światowym poziomie.
I pomysł wypalił! Rzeczywiście, to co zobaczyliśmy w Sudureyri podczas naszej wizyty w lipcu 2008 roku, a także w trakcie późniejszych wypraw grupowych Eventuru, przeszło nasze najśmielsze oczekiwania. Stopień profesjonalizmu w funkcjonowaniu tej bazy przerasta bodaj wszystko, co do tej pory widzieliśmy w wędkarstwie morskim.
Dla przybywających wędkarzy zbudowano kilka domków - prostych wprawdzie w swej surowej skandynawskiej architekturze, ale z pełnymi wygodami, jak łazienka, toaleta, kuchnia czy telewizor. Domki nie są położone w odludnej okolicy, ale w centrum wioski rybackiej. Ma to swoje plusy i minusy: z jednej strony wędkarze pragnęliby w czasie urlopu wypocząć z dala od większych skupisk ludzkich, jednak tutaj lokalizacja ta daje niepowtarzalną szansę uczestniczenia w codziennym życiu maleńkiej rybackiej wioski położonej na dalekiej północy Europy.
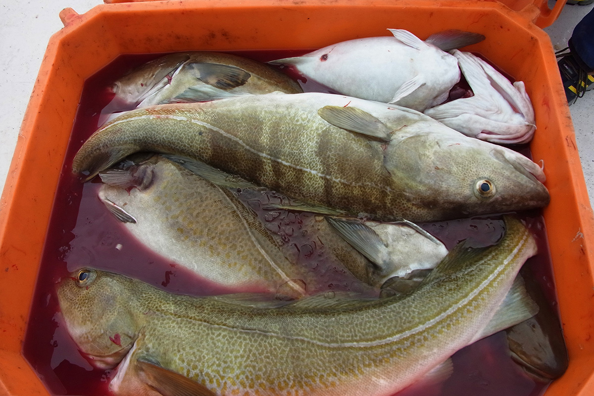
Ale domki to tylko wstęp do największych atrakcji. Oddane do dyspozycji wędkarzy łodzie to praktycznie pełnomorskie mini-kutry z napędem diesla, przystosowane do prowadzenia zarówno przez zawodowców, jak i przybywających tu na urlop amatorów. Łodzie wyposażone są w olbrzymie skrzynie na ryby, gdyż dzienny połów idzie tu nawet nie w dziesiątki, ale bardzo często w setki kilogramów! Skrzynie wypróżnia się codziennie w miejscowej przetwórni, a do domu zabiera wybrane sztuki przeznaczone na bieżącego spożycia.
Łodzie, jak u profesjonalnych rybaków, wyposażone są w łączność radiową, a każdorazowo przy wypływaniu z portu należy zgłosić numer łodzi i liczbę osób wypływających na morze. W razie zagrożenia można za pomocą radia wezwać pomoc (helikopter przybywa na miejsce w ciągu kilku-kilkunastu minut). Po zakończeniu pobytu wszyscy wędkarze mogą otrzymać za dodatkową opłatą (uiszczaną na miejscu) kilkanaście kilo pięknie przygotowanych mrożonych filetów z różnych gatunków ryb, zapakowanych w przetwórni w specjalne estetyczne pudełka oraz specjalną termiczną torbę, umożliwiającą przewiezienie ryb samolotem do kraju. To wszystko sprawia, że rokrocznie Sudureyri jest pełne wędkarzy z różnych rejonów Europy.
Poza wioską Sudureyri wędkarze mogą też być zakwaterowani w innej wiosce rybackiej – Flateyri, która zlokalizowana jest w sąsiednim fiordzie. Warunki są tam podobne, a dostęp do najlepszych łowisk również zagwarantowany.
Islandczycy zapraszają gorąco również gości z Polski. Najlepszy sezon połowów to wiosna (duże ryby można znaleźć wówczas w głębi fiordów) i lato. Liczba dorszy i zębaczy łowionych dziennie i ich rozmiary robią wielkie wrażenie na przyjezdnych! Często trafiają się też sztuki okazowe, jak trzycyfrowe halibuty, dwudziestokilowe dorsze i dziesięciokilowe zębacze.
Dla urozmaicenia możliwe jest też łowienie w okolicy na spinning lub muchę przecudnych arktycznych palii. To bardzo smaczne i cenione przez wędkarzy ryby. Z uwagi na to, że są zimnolubne, żyją tylko w krajach dalekiej północy lub w wyższych partiach Alp. Warto więc skorzystać na Islandii z okazji i spróbować ich połowu, a także mieć szansę na degustację ich smacznego, pomarańczowo-czerwonego mięsa.
Łowienie ryb morskich możliwe tylko z łodzi. Arktyczne palie można poławiać z brzegu lub brodząc w wodzie.
Ryby morskie - ciężkie zestawy z pilkerami o masie do 1000 gramów, a także zestawy z martwą rybką lub filetem. W płytszych miejscach wewnątrz fiordów możliwy również spinning - np. na halibuta z użyciem dużych ripperów na bardzo ciężkich główkach jigowych. Przy połowie arktycznych palii rekomendujemy spinning lub sztuczną muchę.
Można zabrać tyle ryb, ile się chce (ile jest niezbędne do bieżącego spożycia). Reszta ryb (nadmiar) winna być przekazana codziennie do miejscowej przetwórni. Po zakończeniu pobytu wędkarze mogą otrzymać za dodatkową opłatą (uiszczaną na miejscu) kilkanaście kilo filetów z różnych gatunków ryb zapakowanych w specjalną termiczną torbę, umożliwiającą przewiezienie ryb samolotem do kraju.
Wyprawiając się do Islandii na ryby warto zaplanować sobie 2-3 dni na zwiedzanie wyspy, aby poznać jej największe atrakcje, jak: gejzery, wulkany, lodowce, klifowe skały, czarne plaże, oszałamiające wodospady, „księżycowe” kratery, wrzynające się w górskie pasma fiordy, zielone górskie doliny czy siarkowe termy.
Najlepszą opcją jest wynajęcie specjalnego „pancernego” samochodu terenowego, który umożliwi również zwiedzanie interioru i pokonywanie rzek. Islandia to niezaprzeczalnie jeden z najpiękniejszych krajów świata!
Wyprawa do krainy gejzerów dała nam szansę nie tylko na połowienie grubych ryb, ale również na kontakt z niespotykanymi gdzie indziej krajobrazami i nieskażoną cywilizacją naturą. To bez wątpienia jedno z najpiękniejszych miejsc na Ziemi!
Oferujemy zakwaterowanie w wolno stojących domkach przeznaczonych na 4-6 osób, z pełnymi wygodami, jak łazienka, dobrze wyposażona kuchnia, salon z TV i oddzielne sypialnie. Domki są ogrzewane. Zlokalizowane są w centrum wioski rybackiej Sudureyri, niedaleko portu (200-300 metrów) i sklepu spożywczego. W wiosce znajdziemy też restaurację oraz bar dla wędkarzy, gdzie można spróbować oryginalnej islandzkiej kuchni.
Istnieje też możliwość zakwaterowania w innej wiosce – Flateyri, która znajduje się w sąsiednim fiordzie. Warunki są tam podobne.
Dla wędkarzy przygotowano doskonałe pełnomorskie łodzie, a w zasadzie kabinowe mini-kutry rybackie z napędem diesla (130 KM). Łodzie mają prawie 7,8 m długości oraz 2,8 m szerokości, a także wysoką i bezpieczną burtę. Wyposażone są w obszerne skrzynie na ryby, sprzęt do podbierania (haki, harpuny), nowoczesną, kolorową echosondę z GPS-em i radiostacją.
Dodatkowo na łodzi znajduje się specjalny przycisk bezpieczeństwa, który po uruchomieniu wzywa na pomoc straż wybrzeża. Dla wędkarzy dostępne są oczywiście bardzo dokładne mapy łowisk i informacja wędkarska na temat technik połowu oraz najlepszych miejscówek. Dla chętnych możliwe rejsy z miejscowym doświadczonym przewodnikiem.
Po zakończeniu pobytu wszyscy wędkarze mogą za dodatkową opłatą (uiszczaną na miejscu) otrzymać kilkanaście kilo pięknie przygotowanych mrożonych filetów z różnych gatunków ryb, zapakowanych w przetwórni w specjalne estetyczne pudełka oraz specjalną termiczną torbę, umożliwiającą przewiezienie ryb samolotem do kraju.
Poniżej prezentujemy przykładową ofertę cenową wyprawy, wyliczoną przy określonych założeniach liczby uczestników, terminu etc. Przypominamy jednak, że każda oferta konstruowana jest indywidualnie pod konkretne zapytanie i uwzględnia wszystkie zmienne podane przez klienta. Poniższą wycenę traktować należy zatem jako orientacyjną, przybliżoną.
| Cena: | W sprawie cen prosimy o kontakt z biurem. |
Więcej informacji o ofercie:Maciek: maciek@eventurfishing.pl tel. 603 820 940Tomek: tomek@eventurfishing.pl tel. 601 300 168 Biuro: biuro@eventurfishing.pl tel. 607 170 297 | |
Gdzie to jest?
Łowisko morskie w północno-zachodniej Islandii, zlokalizowane w fiordach oraz na wodach Cieśniny Duńskiej, oddalone ok. 457 km od Reykjaviku i ok. 475 km od portu lotniczego w Keflaviku oraz 35 km od portu lotniczego w Isafjordur.
Jakie ryby?
Szczególnie polecamy je na połów: dorsza (od marca do września), zębacza (od maja do września), halibuta (od maja do września), żabnicy (od czerwca do sierpnia). Dodatkowo w okolicznych rzekach, jeziorach i na słonych lagunach można poławiać arktyczne palie (Salvelinus alpinus). Sezon na te ryby trwa praktycznie cały rok.
Kiedy najlepiej jechać?
Sezon połowu ryb morskich trwa od maja do września. Najlepsze na wyjazd jest lato.
Jak dojechać na miejsce?
Najlepiej samolotem z przesiadką w Keflaviku. Oferujemy pomoc przy ewentualnej rezerwacji samolotu.
